![]() |
| Photos by Evan Brandt |
As is so often the case in New Hanover Township, the prime topic of discussion at Monday night's board of supervisors meeting was development.
In this case, a particular housing development proposed off Swamp Pike called Hanover Crossing was the project at hand.
Located on 33 acres on the North Side of Swamp Pike between Reifsnyder and New Hanover Square roads, the project currently calls for 71 unattached single family homes with two-car garages.
The property is owned by DTS Partners LLC of Collegeville.
The development, if approved as planned, would have no direct access to Swamp Pike.
![]() |
Hanover Crossing proposes 71 tightly packed single family homes on 33 acres north of Swamp Pike |
Both Harvest and Country connect to Burton Drive, which in turn connects to New Hanover Square Road.
The developers are seeking waivers to township ordinances, some of which have to do with how much traffic the new homes will put onto secondary connecting roads like Colonial, Country and Harvest.
Other waivers sought are for on-street parking and for the steepness of stormwater basins.
However, Bernadette Kierney, an attorney from Hamlet, Mullin and Rubin who represents the developers argued that planners want fewer cul de sacs in residential developments to keep as much traffic as possible off larger roads like Swamp Pike, and they can't ask for projects to interconnect neighborhoods and then punish them for putting too much traffic on those roads.
Having received input from the supervisors, the developers will go back to the planning commission at its next meeting on Feb. 13, where a final decision on the preliminary site plan is expected.
Traffic and stormwater were also on the minds of two members of the audience who spoke to the supervisors.
Traffic Woes
Donnas Schaeffer told the supervisors that after 21 years in town "I'm finally starting to feel a quality of life change here in the township. Traffic is a major problem."![]() |
| An early sketch plan for the town Center project. |
It was explained to her that the study in question dealt with intersections for which plans had not yet been made and that the township has plans to add a traffic signal and turning lane to the southern side of the dog-legged intersection.
"We have enough money in the budget to do the project, but we're waiting to hear about some grants we've applied for," said Township Manager Jamie Gwynn. Bids for the job are expected to be let in spring or summer.
Still traffic in the township is on the rise and only looking to increase with the fate of the 400-plus-unit Town Center development still undecided.
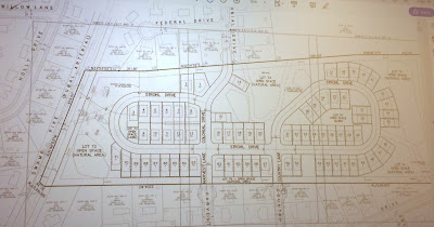
![]() |
| A map showing active housing projects in New Hanover. |
Middle Creek and Congo roads can be improved with some signs, striping and making it a four-way stop, but traffic counts (both present and future) and the number of accidents at Route 73 and Middle Creek Road warrant some turn lanes and a traffic signal, according to the DVRPC.
As The Mercury reported in November, the U.S. Census Bureau currently estimates New Hanover’s population at 12,243. With no less than 26 development projects in various stages of the approval pipeline — with the potential to add another 5,982 residents to the mix — township officials are looking at a 41 percent population increase in just a few years.
As a result, the township is undergoing writing a new report on which to base an updated Act 309 fee schedule that will charge developers a fee for each afternoon vehicle trip their project is expected to generate to help pay for traffic improvements.
It is this fund, which now has nearly $2 million, which will help to pay for the improvements to the route 663 and route 73 intersection, Gwynn explained.
Koza said if approved, Hanover Crossing will have to contribute about $270,000 toward that fund.
Stormwater Woes
Another impact of increased development, the supervisors were informed Monday night, is an increase in stormwater run-off as more and more pavement and buildings prevent rainfall from soaking into the ground. Given the near-record rainfall the region experienced this summer, the problem is particularly pronounced, said Darlene Eisenhard.![]() |
| Douglass resident Darlene Eisenhard shows New Hanover officials where stormwater problems are occurring near her home. |
"I can't use my back yard. My shed is ready to float away. We've never had it before and I've been here for 30 years. I know we've had a lot of rain, but we've had a lot of rain before," she says.
The stormwater basins that supposed to hold stormwater and release is slowly into streams don't seem to be working, Eisenhard said.
"Kids are kayaking in the swales. That's how bad it's getting."
Township Engineer David Leh promised to look into the problem.
Pool Work
New Hanover Supervisors also voted unanimously to issue bids for repairs to the Hickory Park Pool.
Gwynn said the 2019 budget anticipates the cost at $55,000, but said newer estimates put it closer to $80,000.
At the suggestion of Supervisor Ross Snook, the supervisors agreed to bid the pool project both to be done this year before Memorial Day, or to be done next year with more lead time, which could lower the price.
"Work case scenario, we close the pool for a year," he said, although Parks and Recreation Director Jessica Wilhelmy said the township may be able to get through another year with minor repairs if necessary.





